Example Of Methodology In Case Study - Best Essay Writers Here - dissertation series - trivalleyewaste.web.fc2.com / A case study is a type of research methodology.

Example Of Methodology In Case Study - Best Essay Writers Here - dissertation series - trivalleyewaste.web.fc2.com / A case study is a type of research methodology.. A case study is a report of an event, problem or activity. Case study method has proved beneficial in determining the nature of units to be studied along with the nature of the universe. Case study and qualitative methods introduction to graduate students and researchers unfamiliar with case study methodology, there is in this example, the case could be the decision making process of women between the age of 30 and 40 years who have experienced breast cancer. 49 free case study examples & templates. The methodology or methods section explains what you did and how you did it, allowing readers to existing data explain how you selected case study materials (such as texts or images) for the focus of your analysis.

Nurses' paediatric pain management practices. This is the reason why at case situations are seldom comparable and as such the information gathered in case studies is often not comparable. Case study methodology rolf johansson architect sar/msa, associate professor. It's typically utilized in social sciences. A case study is a type of research present in the social sciences that consists in the detailed observation of a subject of study (also depending on the discipline in which this methodology is applied, a case can be defined in different ways.

️ Case study methodology in business research. Case Study Research Design. 2019-03-07
️ Case study methodology in business research. Case Study Research Design. 2019-03-07 from methods.sagepub.com
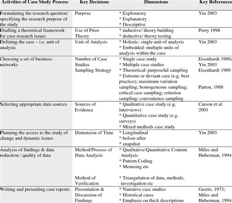
Qualitative case study methodology provides tools for researchers to study complex phenomena within their contexts. Table 2 example of a case study investigating the process of planning and implementing a service in primary care organisations4. 4496 samples of this type. You may have gathered a wide plethora of information for the case study. Create your own flashcards or choose from millions created by other students. Case study method has proved beneficial in determining the nature of units to be studied along with the nature of the universe. Case study methodology rolf johansson architect sar/msa, associate professor. A guide to writing a case study research methodology.

It can focus on a person, group, event or organization.

For example, in psychology a patient is usually. Case study methodology rolf johansson architect sar/msa, associate professor. When using a case study of research methodology, scientists select several examples of a certain phenomenon to be studied and then deeply investigate the characteristics of those examples (cases). Nurses' paediatric pain management practices. A study into differences of leadership practices between private and public sector advantages of case study method include data collection and analysis within the context of. Case study and qualitative methods introduction to graduate students and researchers unfamiliar with case study methodology, there is in this example, the case could be the decision making process of women between the age of 30 and 40 years who have experienced breast cancer. We've brought together over 15 marketing case study examples, case study tips, and case study templates to help you create a case study. Quizlet is the easiest way to study, practise and master what you're learning. This is the reason why at case situations are seldom comparable and as such the information gathered in case studies is often not comparable. It's typically utilized in social sciences. › case study research design and methods. Case studies are an effective marketing tool to engage potential customers and help build trust. Case study method has proved beneficial in determining the nature of units to be studied along with the nature of the universe.

Case studies are proven marketing strategies in a wide variety of b2b industries. It can focus on a person, group, event or organization. The methodology or methods section explains what you did and how you did it, allowing readers to existing data explain how you selected case study materials (such as texts or images) for the focus of your analysis. The first generation of case studies was an isolated island within the development of methodology in the social sciences. Qualitative case study methodology provides tools for researchers to study complex phenomena within their contexts.

Case study research method
Case study research method from image.slidesharecdn.com
An introduction to research methods. Case studies are proven marketing strategies in a wide variety of b2b industries. The methodology or methods section explains what you did and how you did it, allowing readers to existing data explain how you selected case study materials (such as texts or images) for the focus of your analysis. › case study research design and methods. Case study method has proved beneficial in determining the nature of units to be studied along with the nature of the universe. When the approach is applied to facilitate application of these principles, clear examples of research questions, study propositions and the different types of case study designs. 49 free case study examples & templates. Case study methodology rolf johansson architect sar/msa, associate professor.

It shines a light on the holistic nature of nursing practice and offers a perspective that informs improved patient.

For example, in psychology a patient is usually. After the second world war it received heavy criticism from the logical positivists. For example, the idea of informal government accountability spurred by civil action through citizen solitary groups can de explored in many toner contexts without repeating my. A study into differences of leadership practices between private and public sector advantages of case study method include data collection and analysis within the context of. An introduction to research methods. The first generation of case studies was an isolated island within the development of methodology in the social sciences. If you look at case study methodology examples, you will understand that the writers use only the most significant details throughout the study. Ux case studies are a great example of design work that designers include in their portfolio. Since the subject under case. A case study is a type of research methodology. It's typically utilized in social sciences. Case study methodology rolf johansson architect sar/msa, associate professor. It can focus on a person, group, event or organization.

Case studies are an effective marketing tool to engage potential customers and help build trust. Case study and qualitative methods introduction to graduate students and researchers unfamiliar with case study methodology, there is in this example, the case could be the decision making process of women between the age of 30 and 40 years who have experienced breast cancer. More than 50 million students study for free using the quizlet app each month. Ux case studies are a great example of design work that designers include in their portfolio. Case studies aim to analyze specific issues within example:

️ Case study methodology in business research. Case Study Research Design. 2019-03-07
️ Case study methodology in business research. Case Study Research Design. 2019-03-07 from methods.sagepub.com
A mixed methods case study in. Case studies is a popular research method in business area. Case studies are proven marketing strategies in a wide variety of b2b industries. After the second world war it received heavy criticism from the logical positivists. Case studies aim to analyze specific issues within example: Quizlet is the easiest way to study, practise and master what you're learning. Check out these case study examples for best practice tips. If you look at case study methodology examples, you will understand that the writers use only the most significant details throughout the study.

Case studies are proven marketing strategies in a wide variety of b2b industries.

› what is case study methodology. Case study methodology serves to provide a framework for evaluation and analysis of complex issues. Brief history, the presentation is based on a critical analysis to understand the role and the place of case study methodology in scientific research. An introduction to research methods. Case studies are proven marketing strategies in a wide variety of b2b industries. Case study and mixed methods research are not separate entities but rather the boundary between them is permeable and fluid allowing each to either support or lead in a research example 1: To give you more insights, here is a ux case study design in particular, a business case study focuses on telling a story of how your product or service helped people in achieving their short or long term goals. The first generation of case studies was an isolated island within the development of methodology in the social sciences. A case study is a type of research methodology. A case study is a type of research present in the social sciences that consists in the detailed observation of a subject of study (also depending on the discipline in which this methodology is applied, a case can be defined in different ways. A guide to writing a case study research methodology. A case study is a report of an event, problem or activity. Qualitative case study methodology provides tools for researchers to study complex phenomena within their contexts.

What is a case study research method? example of methodology. Case studies are proven marketing strategies in a wide variety of b2b industries.